Informacje podstawowe:
- Przedmiot oferty: Dzialka
- Typ oferty: sprzedam
- Cena: 15638
- Cena za m²: 14 00
- Powierzchnia: 1117.00 m²
- Województwo: wielkopolskie
- Powiat: kępiński
- Miejscowość: Rychtal
- Ulica / dzielnica: Proszów
- Nr oferty: 59900
Przepięknie położona działka budowlana nr 89/4 o pow. 1117m2 w regularnym kształcie znajdująca się w miejscowości Proszów na terenie gminy Rychtal. Działka położona w bezpośrednim sąsiedztwie zabudowy jednorodzinnej z istniejącymi sieciami: wodociągową, kanalizacyjną, energetyczną, telekomunikacyjną i drogą asfaltową.
Woda i kanalizacja bezpośrednio przy działce.
Bez pośredników! Cena okazyjna 14zł netto /m2
WAŻNE!
Działka posiada ważny Plan Zagospodarowania Przestrzennego. Dodatkowo działka posiada wyznaczone granice geodezyjne przez uprawnionego geodetę.
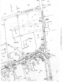
W ofercie inne działki o powierzchni od 10ar do 12ar. Szczegóły na załączonym wyrysie.
W rozliczeniu przyjmę inną nieruchomość.
Tel. 692 471 877
Polecane ogłoszenia
-
Dom - sprzedam
mazowieckie, Warszawa Ursynów, ----------------------------- Cena: 2600000 -
Dom - sprzedam
mazowieckie, Warszawa Włochy Cena: 1200000 -
Dom - wynajmę
mazowieckie, Warszawa Bemowo Cena: 4500
Szukaj ogłoszeń
Inne ogłoszenia
-
Dzialka - sprzedam
zachodniopomorskie, drawski, Ostrowice, Przytoń Cena: 165000 -
Dzialka - sprzedam
zachodniopomorskie, drawski, Ostrowice, Przytoń Cena: 165000 -
Dom - sprzedam
mazowieckie, piaseczyński, Piaseczno, Kameliowa Józefosław Cena: 1190000 -
Dom - sprzedam
mazowieckie, legionowski, Serock, Dosin Cena: 395000 -
Dom - sprzedam
mazowieckie, wołomiński, Klembów, Pasek Cena: 455000

